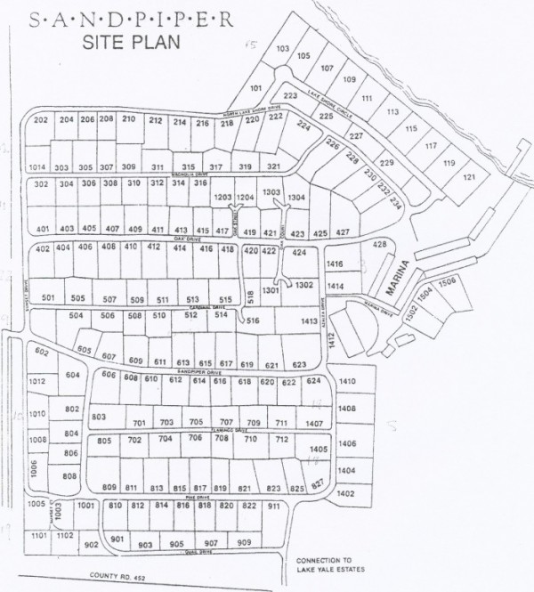
Park MapPark Layout
This is a map that shows the individual lots and gives street names. As you can see, house numbers are unique within the park. This means that if you know the lot number, you can find any home within the park without knowing the street name. The map is oriented with NORTH straight up.

